I just installed Windows 7 along with Ubuntu 13.04. I have all my software dump in my Ubuntu partitions which I want to install in Windows 7. How can I access the Ubuntu partition so that I can copy my software files in Windows 7? I can't even see partition of Ubuntu.
Asked
Active
Viewed 7.0k times
24
1 Answers
31
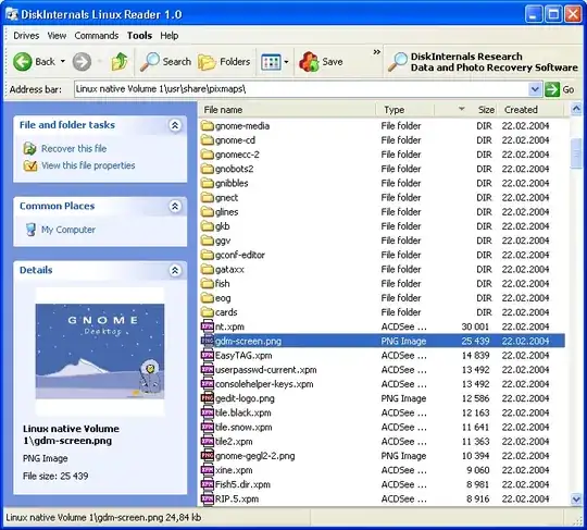
You can use Disk Internals Linux Reader for Windows. I too use it to access (read + copy) my Ubuntu files while using Windows OS.
Here is the link:
-
1Can i copy the software files also which i have on my Ubuntu download folder ?? – Gurupal singh Nov 19 '13 at 13:31
-
-
Best solution I've found is Paragone ExtFS. It's professionally developed, tested on Windows 10 and seamlessly integrates with Windows at driver level (requires free registration). – Shital Shah Apr 29 '16 at 23:06
-
Files can be saved using save option provided by the utility. It works with Windows 8 and Ubuntu 18.04. – Fahad Naeem Oct 16 '20 at 04:32

ext4 explorersoftware to see the files in ubuntu partition. – Avinash Raj Nov 19 '13 at 13:24